
La principal manifestación clínica es el dolor en la región inguinal, de tipo mecánico, que se produce con los movimientos de flexión y separación de la cadera y suele irradiarse por la cara anterior o lateral del muslo hasta la rodilla y ocasionar cojera al caminar, cediendo el dolor con el reposo.
La evolución de la enfermedad es muy variable, existiendo casos que permanecen estables durante años y otros que evolucionan rapidamente.
El tratamiento incluye medidas generales, evitar el sobrepeso, ejercicio físico, fisioterapia, analgésicos o antiinflamatorios, uso de bastón y la cirugía.
La anamnesis, exploración clínica y radiografía de cadera son los procesos diagnósticos empleados.
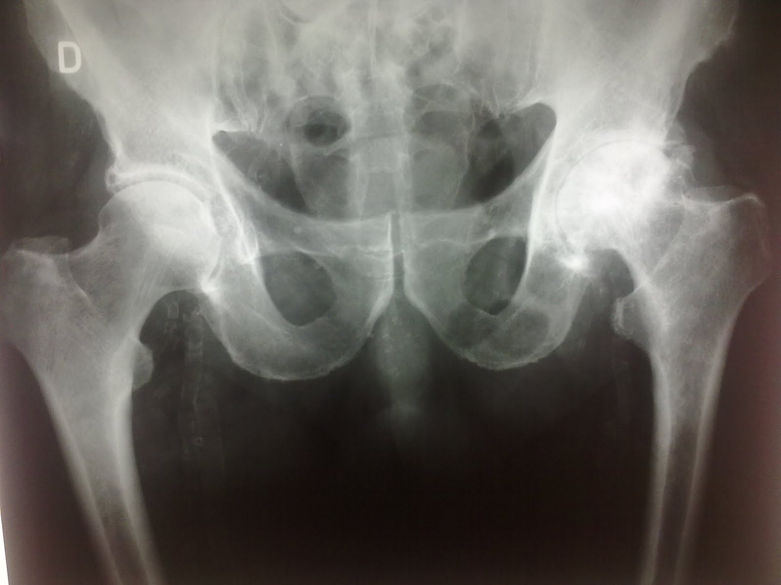
La imagen que pertenece a un varón de 70 años, muestra los cambios radiológicos de artrosis(pinzamiento espacio articular, esclerosis subcondral con aumento de la densidad ósea,quistes subcondrales y osteofitos), leves en la cadera derecha y muy severos en la izquierda.
No hay comentarios:
Publicar un comentario